The Shrinking Salt Lake: Water levels in the Great Salt Lake dropped to new record lows.
Measuring War’s Effect on a Global Breadbasket: Using satellites to track the impact of the Russia-Ukraine conflict.
Catastrophic Flooding in Yellowstone: Snowmelt and heavy rain caused historic flooding around the national park.
Tracking the Demise of a Giant Iceberg: Scientists chronicled the death throes of one of the world’s largest icebergs.
Enduring Antarctic Sea Ice: An expedition has located the lost ship of Antarctic explorer Ernest Shackleton.
No Breathing Easy for City Dwellers: Linking air pollution with health outcomes in cities around the world.
Dramatic Changes at Hunga Tonga: NASA scientists have been closely watching the evolution of the volcanic island.
Bathed in a Sea of Artificial Light: A new global atlas extends measurements of nighttime lights to the sea.
Seeing Suomi: Reindeer, indigenous people, and modern meteorology converge.
An Extra Air Pollution Burden: Air quality in D.C. has improved. But the gains have not been realized evenly.
Fires Fueled Unprecedented Blooms: Iron-rich aerosols fertilized huge phytoplankton populations.
Scientific Questions Arrive in Ports: Shipping activity following COVID backlogs may be affecting air quality.
Superbolts Carry Super Power: Scientists reveal details of a rare type of lightning that stretches into space.
California’s Surge of Large Fires: Climate change, a century of fire suppression, and population growth are a recipe for fire.
Fossil Fjords in Namibia: Ice that carved a network of valleys 300 million years ago is gone, but the valleys remain.
Climate Change Pushes Fires to Higher Ground: Wildfires in the western U.S. have been spreading to higher elevations.
Devastating Rain in Tennessee: A burst of severe and extremely localized rainfall led to catastrophic flash floods in Tennessee.
Meteors Great and Small: Abundant streaks of light raced across the night sky during the Perseid meteor shower.
Unusually Smoky Fire Season in Sakha: Wildfires are approaching records for estimated carbon emissions.
Anticipating Future Sea Levels: Scientific understanding of the factors that control sea level has improved dramatically.
Sizing Up a Tabular Iceberg: The topography of Antarctic Iceberg A-76 provides insight into the strange properties of ice.
Discovering the Charlotte Whale: The bones of a beluga whale were excavated from a landlocked central part of Vermont.
Smoke in the Stratosphere: In the stratosphere, aerosols from fires or volcanic eruptions can function like shade.
Rock and Glass Shards Blanket Soufriére: Volcanic ash poses myriad hazards in the air and on the ground.
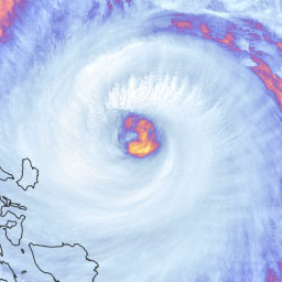
Surigae Stirs Up the Pacific: The super typhoon reached extreme intensity earlier than any storm in the satellite era.
Tracking La Soufrière’s Plume: Explosive eruptions have flung ash and sulfate particles to the stratosphere.
A Deadly Debris Flow in India: A torrent of debris from a mountain in the Himalaya devastated remote valleys in Uttarakhand.
Shrinking Margins of Greenland: At least 200 of the island’s coastal glaciers have retreated over the past 20 years.
Nitrogen Dioxide Levels Rebound in China: As coronavirus lockdowns lift, signs of renewed industrial activity emerge in the atmosphere.
Flooding of the Red River: The geography and river direction play a role in frequent flooding of the Red River.
Aerosols Plummet During Lockdowns: In the wake of coronavirus quarantines, the air over India became significantly clearer.
Record Low Ozone in the Arctic: Unusual weather led to ozone declines in the northern hemisphere.
Observing Tornado Tracks by Satellite: Storm scars are visible in both natural color and heat signatures on the landscape.
Parched Conditions in Germany: With little spring rain, the country could face a drought for the third summer in a row.
Sea Ice Remains Below Normal: Seasonal bumps in sea ice at both poles were not enough to bring levels back to normal.
Nighttime Lights show Change in China: The impact of coronavirus lockdowns is evident in nighttime lights seen from space.
Satellites Aid Bison Management: The growing season is getting longer for the vegetation fed on by Yellowstone's bison.
Relentless Floods on the James River: Satellites and river gages show year-long flooding has lasted well into winter.
Airborne NO2 Drops over China: Coronavirus lockdowns cause industrial activity and airborne pollutants to plummet.
Phenomenal Faults and Foldse: A story of continental collisions that played out almost two billion years ago.
Remnants of an Ancient Lake: Evidence of Lake Mega Chad remains etched in the sand.
More Rain, More Landslides: Warming temperatures and intense rainfall may lead to increased landslide activity.
Polar Bears Struggle as Sea Ice Declines: Bears are spending less time on sea ice where they hunt and feed the most.
The Second Warmest Year on Record: The past five years have been the warmest of the past 140 years.
A Hidden Threat: An earthquake made the land flow like mud in a place where science previously said it shouldn't.
Fierce Diablo Winds: The notoriously hot, dry winds fanned California's largest wildfire of the 2019 season.
Too Bright at Night: Artificial lighting may disrupt nocturnal wildlife in Chicago's green spaces.
Climate Change brings Landscape Change: A warming world will tansform Alaska's boreal forests.
Darkness after Dorian: South Carolina's coasts were hit with power outages in the wake of the powerful hurricane.
New Maps of Sunburn Risk: NASA and the CDC help the public understand risks behind America's most common cancer.
The Pacific Crest Trail: See the historic and majestic trail from the vantage point of space.
A Second Heatwave Scorches Europe: July temperatures soared 15°C higher than the previous heatwave in June.
Crater Lake Transect: ICESat-2's overflight of Mount Mazama offers a unique look at an iconic lake.
Measuring Earth's Movement: Scientists are getting better at measuring how much earthquakes move the ground.
Green Spaces are Good for Health: The risk of psychiatric disorders is lower for those growing up in greener spaces.
Record-setting Seaweed: A belt of brown algae stretches from West Africa to the Gulf of Mexico.
A Longer Dry Season: The summer dry season has lengthened by 10 days in the Congolese rainforest.
Slow and Severe: Dangerous increases in rain follow tropical cyclones that are stalling over coastal cities.
The Carbon Footprint of Cities: Fewer in number, the largest and most affluent cities account for the greatest emissions.
Facebook and Fires: Observing population movements during disasters through activity on social media.
A Future at Risk: Unstable rainfall patterns bring uncertainty to the food security of vulnerable populations.
The Polar Vortex: Descending Arctic air brought record low temperatures to North America.
The Rincon: Myriad canyons reach out from the serpentine courses of the Colorado and Escalante Rivers.
A Glacial Pace: In response to a warming climate, Asian glaciers are becoming thinner. And slower.
A Laser in Space Pointed at Earth: Photons fired at 10,000 pulses per second reveal the planet's ups and downs.
Ozone Hole Tempered by CFC Reductions: A decline in ozone-depleting chemicals is good news for the stratosphere.
Rainy October Soaks Texas: Storm after storm dumped record rainfall in parts of Texas.
After the Flood: Following torrential rains, North Carolina's rivers carried organic material out to sea.
Florence Inundates the Carolinas: Soils were primed for flooding well before the storm arrived.
The Winds of Hurricane Florence: Wind speeds waxed and waned in the two weeks before Florence made landfall.
One Day of Global Aerosols: Tropical cyclones, dust storms, and fires spread tiny particles throughout the atmosphere.
The Atmospheric Cost of Wildfires: As fires rage on the ground, harmful particulates reach the sky.
Rare Fair Skies: Mapping the likelihood of clouds in the UK and Ireland.
Monument Valley: A quintessential picture of the American West, seen by satellites.
Probing Kilauea's Plume: As fissures split the ground, sulfates billowed into the Hawaiian skies. Satellites reveal their path.
A Smog Over Solar Gains in China: Sun-blocking smog has hamstrung China's solar revolution.
The Channeled Scablands: When a glacial dam broke during the last Ice Age, it changed the Columbian Plateau forever.
Forecasting Landslides: A new model enables scientists to forecast landslide hazards in near real-time.
Earlier Springs in National Parks: Climate change is bringing early springs to America's National Parks.
Cyclone Marcus: The first category-5 cyclone of 2018 got a hot start, then fizzled out over cooler water.
Mangrove Regrowth in Senegal: Mangrove forests are retaking lost ground after decades of drought.
Fire Season in Southeast Asia: Free from the humidity of the monsoon season, human-induced fires are at their peak.
Violent Blast from Sinabung: An explosive eruption in Indonesia sent ash and sulfur dioxide into the atmosphere.
Gita Batters the South Pacific: The worst storm in 60 years battered the islands of Tonga at Category-4 strength.
A Cold Greeting in Pyeongchang: The Winter Olympics kicked off with complaints of broken skis and hypothermia.
Tropical Glaciers in Retreat: There are glaciers in the tropics. For now.
The Cotahuasi Canyon: More than twice as deep as the Grand Canyon, this chasm in Peru is a sight to behold.
Volcán de Fuego Erupts: Multiple sensors get a look at a recent eruption from this active stratovolcano.
Cape Town is Drying Up: The South African city is on a perilous path toward running out of water.
Satellites and Food Safety: Models reveal when—and where—to harvest shellfish and avoid a dangerous neurotoxin.
Pinpointing Where the Lights Went Out in Puerto Rico: NASA assists in recovery after Maria.
The Global Spread of Bare Ground: Human activity is changing the surface of Earth.
Signature of a Storm: Modeling the structure of hurricane Maria's stormy clouds.
Rainy Fingerprints of Irma: Rainfall shows how hurricane paths can both reveal and mislead.
Hot Water Ahead for Hurricane Irma: A direct path into abundant hurricane fuel.
Soil Moisture Satellite Observes Harvey’s Wrath: Record rain fell in a region primed for flooding.
Record-Breaking Smoke Over Canada: Thick plumes could turn day into night.
Mapping Cloudiness During the Eclipse: Analyzing seventeen years of cloud probability.
Finding a Lost City: Could images from space locate a city only known on ancient maps?
Landsat Spots Birth of Iceberg A-68: Thermal imaging sees through the darkness of polar winter.
Winds of Change: Ponds grow, shrink, and merge in the Mississippi River Delta.
Penguin Droppings are Fertile Ground for Science: New colonies discovered from space.
Sources of Ignition: Humans, not lightning, cause most US wildfires.
NASA's Black Marble: Visualizing the human footprint on planet Earth.
Arctic Sea Ice at Record Lows: Polar sea ice is in indisputable decline.
Drought Continues to Grip Southern California: 20% of the state under exceptional drought.
Antarctic Sea Ice at Record Lows: Even during growth, Antarctic gains do not offset Arctic losses.
Sulfur Dioxide Spreads Over Iraq: After conflict, sulfur and carbon cloud the skies of Mosul.
Power Outages Plague Southeast: Satellites and power companies reveal Matthew's impact.
Sea Ice Fact Sheet: Floating ice has a profound influence on the polar environment.
A Tale of Fire and Water: A NASA scientist's quest to understand the rain in Africa.
How Cities and Suburbs Affect the Chesapeake Bay: Measuring three decades of growth in Baltimore.
Climate Change and National Parks: Climate records—and ecyosystems—are on the move.
New Seafloor Map Helps Scientists Find New Features: A map based on gravity proves to be useful.
Historic Rainfall in India: Chennai received more rainfall in 24 hours than it had seen on any day since 1901.
Post-quake Mapping of Earth's Motion: Satellites show how a magnitude 8.3 earthquake shifted the Chilean landscape.
A New Identity for Denali: On August 30, 2015 Mount McKinley formally became Denali.
Mapping Forest Loss with Landsat: Calculating carbon loss with cloud computing.